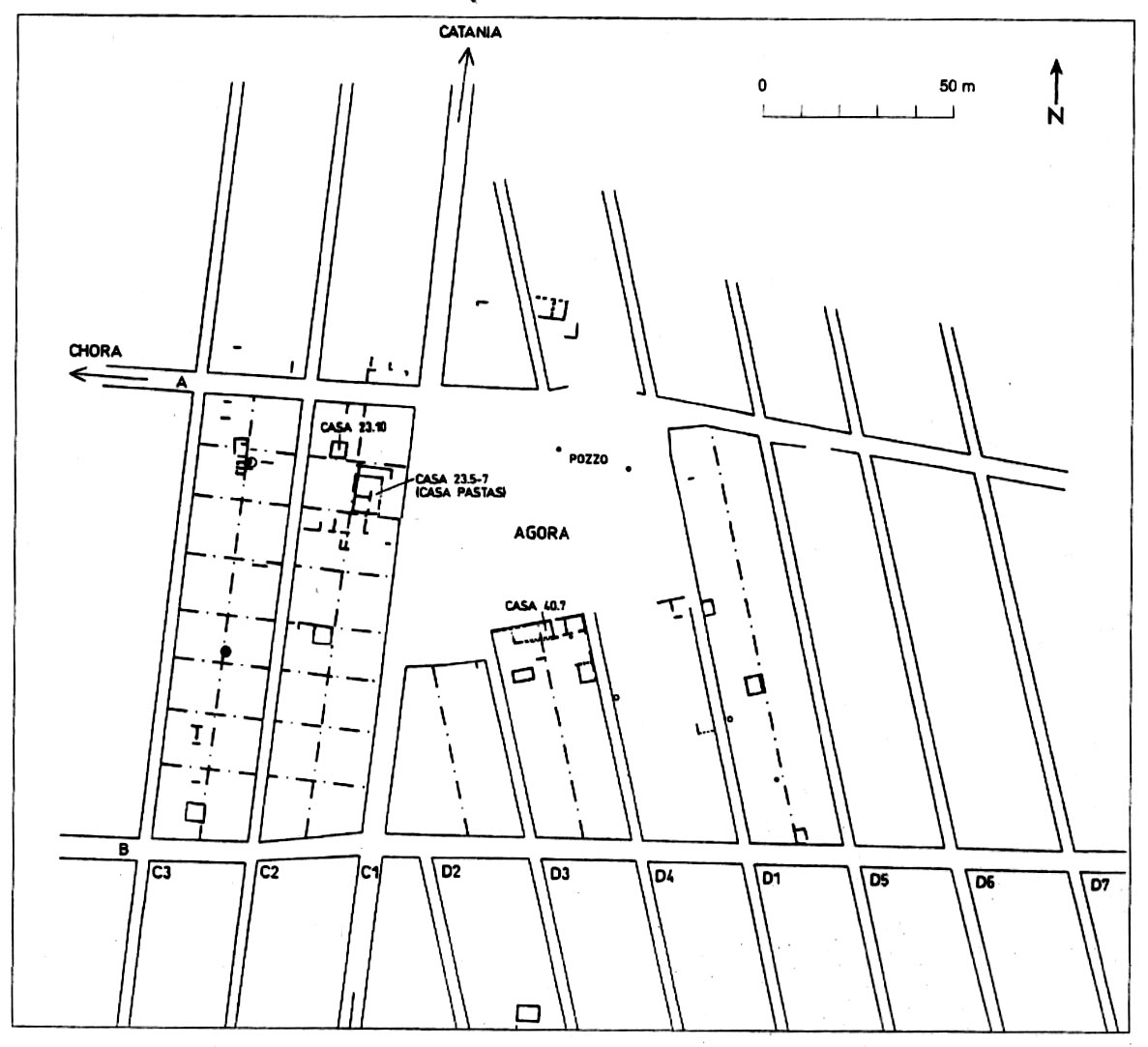
Fig. 8 -
Megara Hyblaea
. Pianta dell’agorà nella prima fase (GRAS-TRÉZINY 1999)