Marco Bianchini 
 
ARCHITETTURA  E  URBANISTICA 
DELLE  COLONIE  GRECHE  D'OCCIDENTE
 
 
 
 
 
 
 
 
 
 
 
 
 
 
 
 
 
 
 
 
 
 
3) Architettura e urbanistica dei primi insediamenti coloniali. 
 
Vediamo ora quali sono le prime installazioni architettoniche e urbanistiche delle colonie greche. Nei primi tempi, tra la fine dell’VIII e l’inizio del VII secolo, ripropongono quelle formulazioni che abbiamo già visto nella Grecia di età geometrica. Questo è il più antico insediamento in Occidente (fig. 1). È un insieme di abitazioni che è stato messo in luce a Pithekoussai, a Ischia; siamo quindi poco dopo il 750 a.C. Sono case con zoccoli in pietra, alzati in crudo, tetti di paglia. Sono state rinvenute all’interno molte scorie di ferro, per cui si è supposto che qui, in questi ambienti, avesse preso posto una officina per la lavorazione dei metalli.  
I primi insediamenti sulla terraferma  vanno a occupare luoghi strategici e facilmente difendibili. Cuma viene fondata dopo qualche decennio dai coloni di Pithekoussai; il sito si trova in  mezzo a una pianura fertilissima che sarà la ricchezza di questa città nei decenni e nei secoli seguenti; ma il primo nucleo si stanzia sull'altura che in seguito diventerà l’acropoli (fig. 2). È l’unica collina che si protende sul mare nella lunga fascia costiera a nord del Monte di Procida. Siracusa si espanderà sul vasto altopiano posto a settentrione, l’Epipolae, ma il nucleo originario della città si stabilisce sull’isola di Ortigia che beneficia di un porto naturale ben riparato (fig. 3). È la stessa situazione in cui si trova Taranto, con il Mar Piccolo chiuso dalla lingua di terra su cui viene fondata la polis (fig. 4). In una fase successiva la città si è estesa verso oriente. La punta della stretta penisola che ospita il nucleo originario di Taranto in seguito è diventata un’isola, in quanto è stata tagliata da un canale durante il medioevo, poi allargato in epoca moderna. Altre poleis sono fondate in pianura,  in luoghi che sono carenti di difese naturali. In taluni casi, come a Metaponto, si cerca di sfruttare le anse dei fiumi (fig. 5); la città viene fondata tra gli estuari di due fiumi non distanti che costituiscono una barriera; verso l’interno, dove i due corsi d’acqua si avvicinano maggiormente, vengono costruite le mura. Poseidonia era riparata in gran parte da una laguna che in seguito è stata bonificata (fig.6).  
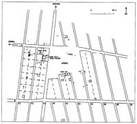
Megara Hyblaea è una città che per la fortuna degli archeologi è stata distrutta dai Siracusani molto presto, nel 480; quindi gli scavi archeologici hanno potuto mettere in luce l’impianto urbano di epoca altoarcaica, di poco posteriore alla fondazione. Le città che invece hanno continuato a vivere sono state oggetto di ripetute trasformazioni per cui le tracce delle fasi più antiche sono meno leggibili. La fondazione di Megara Hyblaea già nei primi anni prevede un impianto caratterizzato da grandi isolati di uguali dimensioni (fig. 7). Non è un impianto ortogonale. Le strade del settore occidentale della città sono orientate diversamente da quelle del settore orientale. Questi diversi orientamenti molto probabilmente dipendono dalle condizioni geomorfologiche. Se guardiamo in dettaglio, ci accorgiamo che questi grandi isolati, che hanno forma di parallelepipedi, hanno tutti uguale larghezza e vengono suddivisi in lotti di uguali dimensioni (fig. 8).  I coloni greci hanno diritto a un lotto di terra all’interno della città, che si chiama oikópedon, e a un lotto più grande in campagna (kleros), nel territorio appartenente alla polis (chora). A Megara Hyblaea ognuno dei grandi isolati urbani è largo circa 25 m; viene suddiviso in due file di lotti quasi quadrati con lato di circa 12,50 m, quindi pari a circa 150 mq. I coloni all’interno del lotto a loro assegnato possono costruire la propria abitazione. Nei primi tempi nella maggior parte dei casi si limitano a edificare una casa costituita da un unico vano di pochi metri quadrati. Non occupano quindi completamente il lotto. In seguito gradualmente le case diventano più grandi. Altri oikopeda restano invece inedificati per lungo tempo e vengono forse utilizzati come orti.  
Un’altra caratteristica delle città coloniali, lo vediamo a Megara Hyblaea, è che la rete viaria è composta da alcune strade più grandi, le platéiai — che hanno una larghezza nei primi tempi di cinque/sei metri, mentre in seguito si arriverà a 10-20 m — e da serie di strade più strette, gli stenopói, larghe mediamente 3 metri nei primi tempi, 5-6 m  negli impianti più recenti. La forma molto allungata degli isolati fa in modo che tutti i lotti siano facilmente raggiungibili. I singoli lotti sono larghi dodici metri, si dispongono pertanto su due file parallele e sono sempre accessibili direttamente da una strada.    
Megara Hyblaea sorge su un altopiano calcareo, pochi metri sopra il livello del mare.  Nel punto più elevato del sito, a NO, si stanzia il più importante santuario urbano che verrà edificato nei decenni successivi. Nel punto, a NE, in cui convergono i due gruppi di strade diversamente orientati risulta un’area di forma irregolare che corrisponde alla piazza (l’agora), che è il luogo di incontro dei cittadini. Nei primi tempi è uno spazio vuoto (fig. 8); è semplicemente un luogo di riunione e di mercato. Con il tempo, durante il VII e soprattutto nel VI secolo, si riempie di edifici (fig. 9). L’agorà di Megara Hyblaea è molto interessante perché è una delle più antiche piazze greche a noi note, che comincia a monumentalizzarsi mostrandoci delle soluzioni che diventeranno comuni nelle città di epoca successiva. Troviamo i portici (le stoai) che isolano la piazza dal traffico delle strade circostanti, i primi templi, negli isolati adiacenti anche una serie di edifici a destinazione pubblica tra cui l’hestiatorion che è un fabbricato comprendente delle sale per i banchetti, probabilmente organizzati dai magistrati per gli ospiti illustri (fig. 10).  
Le prime case della città, come dicevamo, hanno un solo vano. Poi in età arcaica alcune abitazioni diventano più grandi. Sarà comune la tipologia della casa a pastas, costituita da tre ambienti disposti in successione che si aprono su un vano comune, un cortile oppure un corridoio trasversale di accesso che a sua volta affaccia su un cortile (fig. 11). Un’altra casa arcaica a pastas è testimoniata a Naxos: ci sono tre ambienti che affacciano su un corridoio; all’esterno del corridoio c’è un cortile; un altro corridoio unisce il cortile alla strada (fig. 12). 
Abbiamo visto prima le mura arcaiche di Smirne. In quelle di Megara Hyblaea ritroviamo la stessa concezione.  C’è un basamento in grandi blocchi lapidei, qui già in opera quadrata; sopra al quale si imposta un aggere di terra (fig. 13). I torrioni semicircolari sono una soluzione insolita per le città greche, probabilmente influenzata da modelli locali. 
Un altro insediamento urbano altoarcaico è quello di Siracusa sull’isola di Ortigia, caratterizzato da alcune grandi plateiai parallele, orientate E-O, a una considerevole distanza l’una dall’altra, circa 300 m; gli spazi intermedi sono infittiti da sei stenopoi paralleli E-O che determinano sette isolati allungati (fig. 14).  In senso N-S troviamo una serie di plateiai relativamente distanziate.  I quartieri sulla terraferma sono più recenti, in ogni caso edificati già a partire dall’età arcaica.
 
 
       
 
     1    
 
     2    
 
     3    
 
      4   
 
      5   
 
      6   
 
 
 
 
 
 
 
 
     7   
 
     8   
 
     9   
 
 
 
 
 
 
   10   
 
   11    
 
  12      
 
  13   
 
  14   
 
     
 precedente
 
inizio pagina
successiva